近日,英国上市公司365刘其斌教授团队在陶瓷领域Top期刊《Journal of the American Ceramic Society》公开发表了题为“Electrical property optimization of BaTiO3-based lead-free piezoceramics by chemical doping”的研究成果。《Journal of the American Ceramic Society》是1918年创办的百年老刊,该研究成果是英国上市公司365首次以第一单位在该期刊发表的论文,通讯作者为刘其斌教授,第一作者为2020级博士研究生蔡恩培。该文的链接为https://doi.org/10.1111/jace.19293,欢迎同行查阅、下载和引用。
该团队以Ba(Hf0.02Ti0.98)O3为基质,引入A-位施主和B-位施主-受主型复合掺杂剂(Nd0.5Li0.5)(Li0.25Nb0.75)O3,从而构建(1-x)BHT-xNLN (0 ≤ x ≤ 0.40 mol%)二元铁电体系。首先,通过XRD、SEM、PFM等先进表征手段揭示了不同掺杂量对微观结构的影响规律 (如图1、2、3所示)。然后,研究微观结构的改变对电学性能产生的影响并探讨了内在机理,发现当掺杂量x = 0.10 mol%时,获得良好的压电性能:d33 = 434 ± 22 pC/N, kp = 46.30%, Qm = 209.43,当掺杂量x = 0.22 mol%时,获得最大的场致应变:Suni = 0.0906%,当掺杂量x = 0.40 mol%时,获得最佳的介电性能:εr = 3399, tanδ = 4.24 % (如图4、5所示)。

图1 (1-x)BHT-xNLN (x = 0-0.4 mol%)无铅压电陶瓷的XRD谱图。(a) XRD谱图。(b) 44-46°范围内的局部放大XRD谱图。(c-h) XRD Rietveld精修图谱。

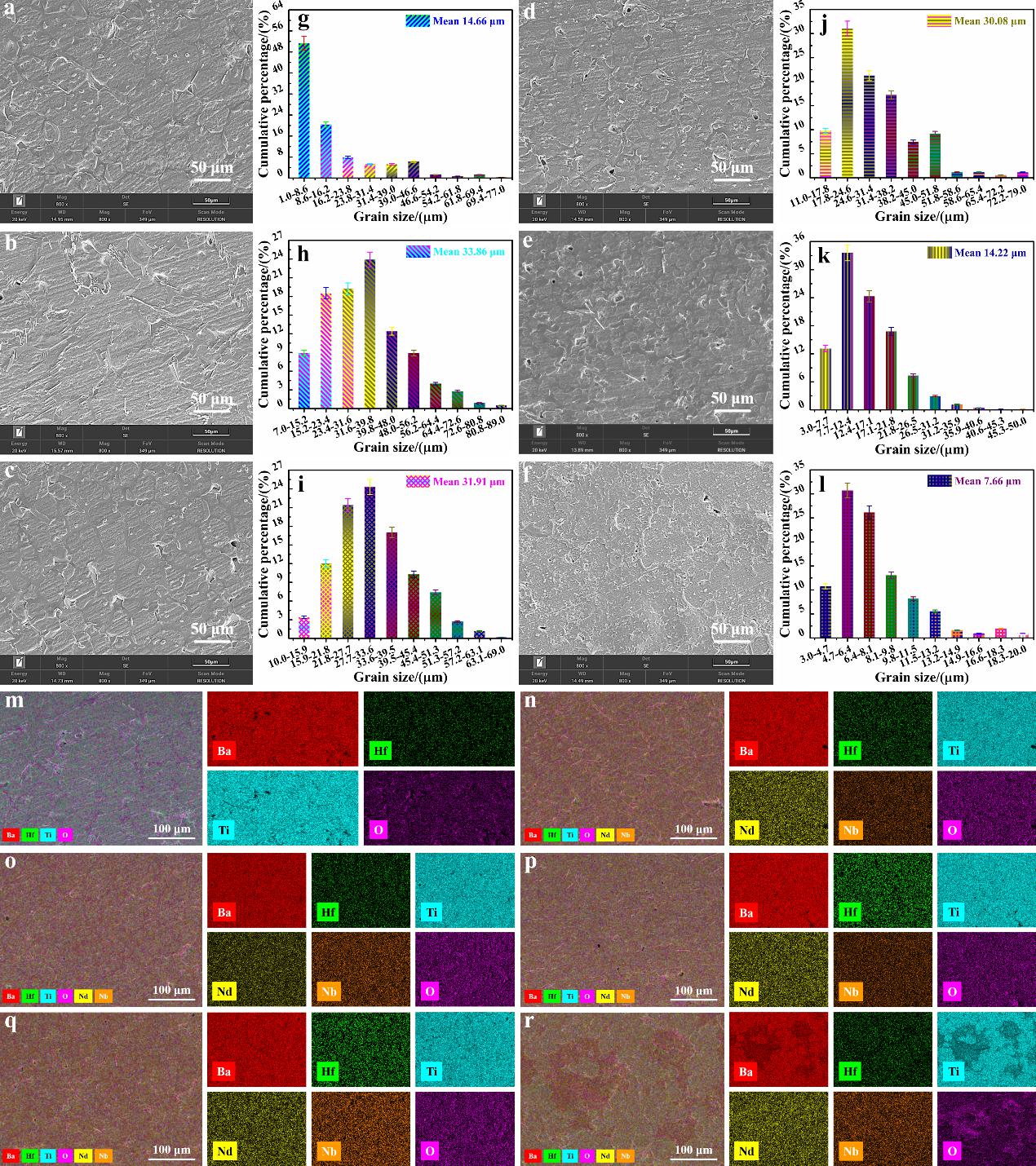
图2 经过抛光和热腐蚀处理后x = 0-0.40 mol%样品的截断面SEM图像。(a-f) 截断面的SEM图像。(g-l) 晶粒尺寸统计图。(m-r) 背散射和元素(Ba, Hf, Ti, Nd, Nb, O)分布图。

图3x = 0、0.10和0.16 mol%的代表性样品的平面外压电响应力显微镜(OP-PFM)测试结果。(a)、(d)和(g)形貌图像。(b)、(e)和(h) 振幅图像。(c)、(f)和(i) 相位图像。首先,在整个区域(4.5 × 4.5 μm2)通过-20 V的负偏置电压进行极化以向下翻转铁电畴。然后,在各个区域(1.0 × 1.0 μm2)通过5、10、15和20 V的正偏置电压进行极化以翻转铁电畴。

图4 (1-x)BHT-xNLN (x = 0-0.40 mol%)无铅压电陶瓷的介电温谱测试。(a-f) f = 100-1M Hz时εr-T和tanδ-T曲线。(g-l) f = 10k Hz时104/εr-T曲线。(m-r) f = 10k Hz时ln(1/εr-1/εm)与ln(T-Tm)的线性拟合。

图5 (1-x)BHT-xNLN (x = 0-0.40 mol%)无铅压电陶瓷的铁电性能和压电性能测试。(a-e) 室温铁电电滞(P-E)回线、双极电致应变(BS-E)曲线、应变-二次极化(S-P2)曲线、电流-电场(I-E)曲线以及单极电致应变(US-E)曲线的成分依赖关系。(f-l) 在f = 1.0 Hz和Emax = 1.5 kV/mm时,(Pmax-Pr)/Pmax、Pr、Ec、Spol、Spos、Sneg和Suni随x的变化。(m-r) 室温下ɛr、tanδ、εrPr、d33、kp和Qm随x的变化。
一审:徐鹏
二审:赵飞
三审:刘剑